概要
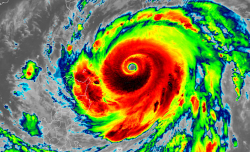
スーパー台風ラガサ(フィリピン名:ナンド) は、
2025年9月22日現在、今年地球上で最も強力な嵐として、
フィリピン北部を猛烈な勢力で襲撃しています。
この台風は最大風速267キロ(165マイル)に達し、
カテゴリー5のハリケーン相当の威力を持っている・・
主要な影響
航空・交通への影響
- 1000便以上が欠航:主にフィリピン・ルソン島の主要空港発着便
- 香港国際空港:36時間の運航停止を予定(火曜日夕方6時から木曜日朝6時まで)
- キャセイパシフィック航空:約500便をキャンセル
- 台湾:146便の国内線が欠航、フェリーサービスも停止
地域別の対応状況
フィリピンでの被害状況
- 10,000人以上が避難:北部および中部ルソン島の住民が学校や避難所に避難
- パヌイタン島に上陸:9月22日午後3時、カガヤン州のパヌイタン島に上陸
- 停電発生:カラヤン島とアパヤオ州で大規模停電
- 洪水被害:カガヤン州の河川が氾濫、稲作地帯が冠水
中国/香港/台湾
中国
- 深セン市:40万人の住民を低地・沿岸部から避難させる準備
- 広東省:火曜日から鉄道運行を段階的に停止
- 南部各省で洪水対策を発動
香港
- 火曜日と水曜日の学校閉鎖を決定
- 最大風速230キロの暴風警報発令
- 住民がスーパーマーケットで生活必需品を買い占め
- 野菜価格が通常の3倍に高騰
台湾
- 陸海警報を発令
- 南部・東部地域の自然遊歩道を閉鎖
- 花蓮県で約300人が避難待機
- 離島への全便が正午以降キャンセル
専門家の分析
スーパー台風18号ラガサは、
眼の壁置換サイクルと呼ばれる
現象により急速に勢力を強めた・・
これは台風の中心部の外側に
新しい雷雲の環が形成され、
元の内側の眼を徐々に置き換える現象!

気候変動の影響により、
海洋温度が過去8年間連続で
記録的なレベルに達しており、
これが台風の急速な発達を
促進していると専門家は指摘!
今後の予測
台風ラガサは以下の進路をたどると予想・・
- フィリピン:北部ルソン島を通過後、西へ移動
- 台湾南部:台湾南方を通過
- 香港・マカオ:水曜日早朝に南方を通過(最大風速200キロ、突風250キロ)
- 中国南部:広東省に接近・上陸の可能性
現在の状況(リアルタイム更新)
- カベクンガン川が氾濫(カガヤン州クラベリア)
- イロコス・スールで強風と大雨が継続
- トゥゲガラオ市:ブントゥン橋の水位が警戒レベル5.5メートルに到達
- 稲作地域の冠水:カガヤン州サンタ・テレジータで収穫間近の稲が水没
ロイターの報道によると、マルコス大統領は
災害対策機関に最高レベルの警戒態勢を指示し、
全政府機関の動員を命じています・・
警戒呼びかけ
フィリピン気象局(PAGASA)は、
高さ3メートルを超える高潮の
危険性があるとして・・
「生命に関わる危険な高潮」への
警戒を呼びかけています。
台風ラガサは、2017年8月に香港に上陸し139人の死傷者を出した台風ハト、2018年9月フィリピンに上陸して少なくとも81人が死亡した台風マンクットに匹敵する破壊的な影響をもたらす可能性があるとして、各地で厳重な警戒が続いています・・
忘れられないスーパー台風ヨランダは、
2013年11月:中心気圧895ヘクトパスカル、
最大風速65m/s・最大瞬間風速90m/s
死者負傷者8,000人超え・・
対する現在のスーパー台風ラガサ(ナンド)は、
22日23時現在:中心気圧905ヘクトパスカル、
最大風速55m/s・最大瞬間風速80m/s
日本では台風19号の進路にも気を付けつつ・・
遠く離れた場所での影響にも十分ご注意を!!
教訓:皆さま、くれぐれもご用心ください
現場からは以上です!
セブ島ボホール島オプショナルはこちら

セブ島ボホール島レンタカーはこちら

最新↓ホームページ↓【2025年~】
※旧↓ホームページ↓【~2024年】
フィリピンニュースはこちら










